Hurricane Melissa: The Federal Government of Nigeria has expressed deep sympathy and solidarity with the governments and people of Cuba, Haiti, and Jamaica following the devastating impact of Hurricane Melissa, which caused widespread destruction across the Caribbean region.
In a statement released by the Ministry of Foreign Affairs on Monday in Abuja, Nigeria described the tragic events unfolding in the affected nations as “heart-wrenching” and called for coordinated global action to support recovery efforts.
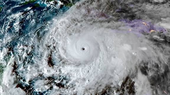
According to the statement, LeadNaija News learnt that the reports from the Caribbean indicate that Hurricane Melissa, one of the strongest tropical storms to hit the region in recent years, has left a trail of massive flooding, infrastructural collapse, and significant loss of life. Thousands of homes were reportedly destroyed, forcing families into temporary shelters while emergency services continue rescue and relief operations.
The Nigerian government commended the courageous and selfless efforts of national emergency response teams in Cuba, Haiti, and Jamaica, who have been working round the clock to save lives and provide assistance to displaced persons despite overwhelming challenges.
“The Federal Government of Nigeria stands in solidarity with our Caribbean brothers and sisters during this tragic period. We recognize the immense suffering caused by Hurricane Melissa and salute the heroic resilience of the people of Cuba, Haiti, and Jamaica,” the statement read.
Nigeria, through the Ministry of Foreign Affairs, extended condolences to the families who lost loved ones in the disaster and wished those injured a speedy recovery. The government emphasized that such natural disasters highlight the urgent need for enhanced global cooperation to mitigate the impact of climate change and extreme weather events.
In the spirit of South-South cooperation, Nigeria called on the international community, multilateral organizations, and humanitarian partners to provide all necessary support to the affected countries.
The statement urged donor agencies, global development institutions, and private organizations to mobilize resources for the urgent reconstruction and rebuilding of critical infrastructure, including hospitals, schools, and housing units destroyed by the hurricane.
“The tragedy in the Caribbean reminds the world of our shared humanity. Nigeria believes that every nation, regardless of size or strength, must stand together in times of crisis. We therefore appeal to the international community to act swiftly and compassionately in providing aid to Cuba, Haiti, and Jamaica,” the Ministry noted.
The Federal Government reaffirmed its commitment to strengthening diplomatic and economic ties with Caribbean nations, stressing that the historical bond between Africa and the Caribbean remains strong. According to the statement, Nigeria will continue to engage with regional partners through existing cooperation frameworks to support disaster management, climate resilience, and sustainable development.
The Ministry also noted that Hurricane Melissa serves as a wake-up call for developing nations to invest more in disaster preparedness, early warning systems, and infrastructure capable of withstanding severe weather conditions.
It said Nigeria has faced similar challenges in recent years due to floods and climate-related incidents, which have displaced thousands and disrupted livelihoods across several states.
“Climate change is no longer a distant threat; it is a present reality that demands urgent and collective action,” the government stressed. “Nigeria stands ready to collaborate with global and regional partners in sharing expertise, building resilience, and reducing the devastating human and economic cost of natural disasters.”
As the Caribbean nations continue to recover from the aftermath of Hurricane Melissa, Nigeria’s message of solidarity underscores its enduring commitment to global peace, humanitarian support, and South-South partnership.
The Federal Government concluded by extending prayers for the governments and people of the affected nations, expressing hope that through unity and international cooperation, recovery and rebuilding will be swift and effective.




